Terreno Venda Ref.: 16
Residencial Arboris
Ipaussu / SP
Rua Empreiteiro José Gonçalves
Área Total 200.00m²
R$ 85.000,00

Detalhes

Descrição

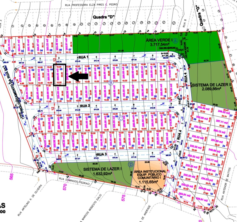
Quadra B
Lote 05
Área do Terreno: 200m²
Testada Principal: 10 metros.

Rua Empreiteiro Jose Gonçalves, Residencial Arboris, Ipaussu/SP.

- Valores sujeitos à alteração sem aviso prévio.

Conheça nossos corretores

Ver todos
Maria Amélia Perez

Maria Amélia Perez

CRECI: 77.248

Telefone: (14) 99711-6688

Agnaldo Perez

Agnaldo Perez

CRECI: 218393

Telefone: (14) 99657-9677

Vanderleia Aparecida Perez

Vanderleia Aparecida Perez

CRECI: 244284

Telefone: (14) 99688-0811